Current
Norton SRTS
WCSA
Horizon Hills
Jackson SRTS
Sullivan Street Phase II
Demolition Landfill
Residential
Commercial
Industrial and
Medical
Federal, State
and Municipal
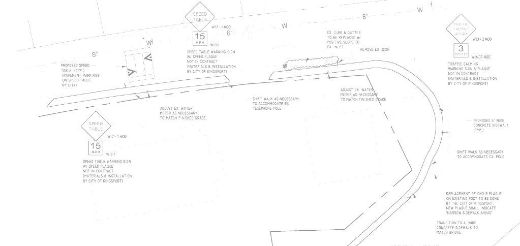
Project Name: SRTS Jackson Elementary School
Location: Kingsport, TN